Zwei Baugrundstück in Mahlow auf einen Streich?

15831 Blankenfelde-Mahlow, Wohngrundstück zum Kauf

Kontaktdaten

Objektdaten

  • Objekt ID
    166879630
  • Objekttypen
    Grundstück, Wohngrundstück
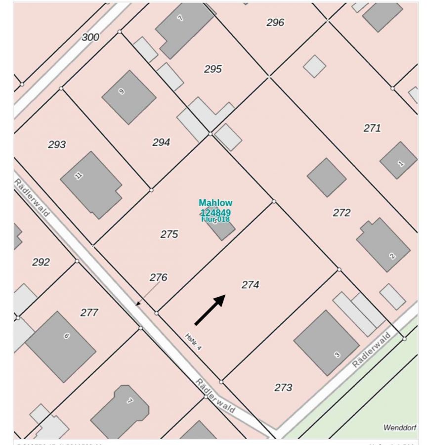
  • Adresse
    Rädlerwald 4
    15831 Blankenfelde-Mahlow
  • Grund­stück ca.
    1.658 m²
  • Erschließung
    vollerschlossen
  • Käufer­provision
    7,14%
    Der Maklervertrag mit uns und/ oder unserem Beauftragten kommt durch schriftliche Vereinbarung oder durch die Inanspruchnahme unserer Maklertätigkeit auf Basis des Objekt-Exposés und seiner Bedingungen zustande. Die Käufercourtage in Höhe von 7,14 % auf den Kaufpreis einschließlich gesetzlicher Mehrwertsteuer ist bei notariellem Vertragsabschluss verdient und fällig. Grunderwerbsteuer, Notar- und Gerichtskosten trägt der Käufer.
  • Kaufpreis
    445.000 EUR

Energieausweis

  • Energieausweis
    nicht vorhanden

Objekt­beschreibung

Beschreibung

Zum Verkauf stehen zwei Baugrundstücke mit einer Größe von insgesamt 1658 m² in Blankenfelde-Mahlow.
Die Grundstück eignen sich hervorragend zur Bebauung von einem Einfamilienhaus oder einem Bungalow oder Eventuell auch für eine Doppelhaushälfte, je auf einem Grundstück.
Das Baugrundstück wird Bauträgerfrei verkauft.

Wir freuen uns auf Ihre Anfrage!

Sonstige Informationen

Bitte rufen Sie uns für einen Besichtigungstermin an und füllen Sie vorher bitte vollständig unser Kontaktformular aus. Vielen Dank.

Alle Angaben sind ohne Gewähr und basieren auf Informationen, die uns von unserem Auftraggeber zur Verfügung gestellt wurden. Wir übernehmen keine Gewähr für die Vollständigkeit, Richtigkeit und Aktualität dieser Angaben. Irrtum vorbehalten.

Wir suchen ständig für vorgemerkte Kunden EFH, ZFH, MFH, Baugrundstücke und Ferienhäuser in Halle (Saale), Leipzig, Saalekreis, Landkreis Nordsachsen und auf der Insel Hiddensee.
Schreiben Sie uns eine Nachricht oder rufen Sie uns an, wir beraten Sie gern!!
Sollten Sie aus Ihrem Umfeld jemanden kennen, der seine Immobilie
verkaufen will, ist uns Ihre Empfehlung bei erfolgreichen Kaufabschluss
500,00 € wert.

Lage

Das Baugrundstück befindet sich in Blankenfelde-Mahlow.
In Mahlow selbst befindet sich eine Einkaufsmöglichkeit, Tankstelle, Kirche, Restaurant, Pension sowie viele kleine Ausflugsziele wie z.Bsp. Seen, Flüsse/Bäche, Wälder.
Unmittelbar in der Nähe von Mahlow befinden sich die Anschlussstellen der A10 und B96, dadurch sind Städte wie Berlin und Ludwigsfelde oder Schönefeld sehr gut und schnell zu erreichen.

Direktanfrage

* Pflichtangaben
 SSL-verschlüsselt
Darstellung der Immobilien mit WP-ImmoMakler und Daten aus
WordPress Cookie Hinweis von Real Cookie Banner